Back to home page

Back to main index page

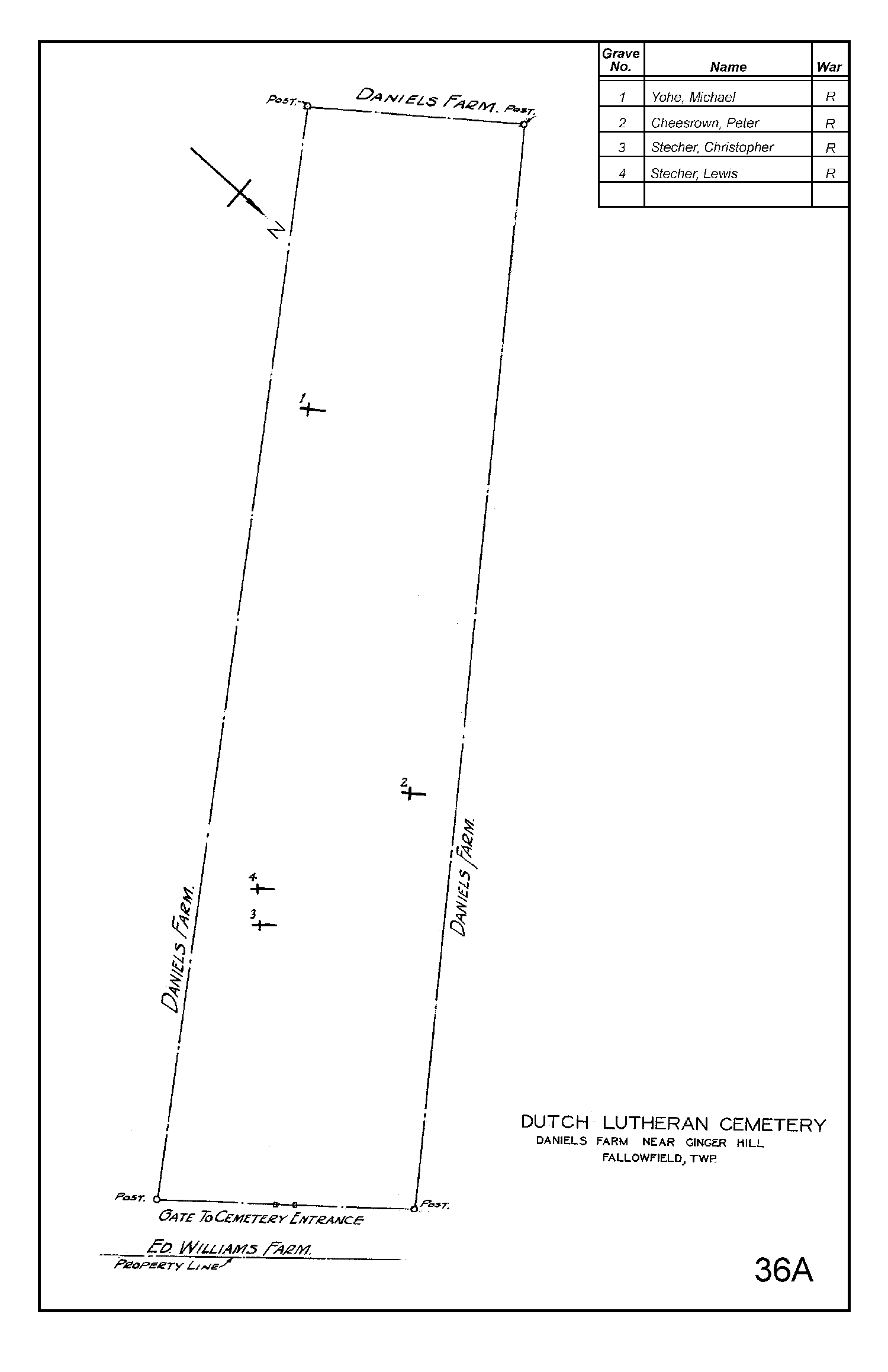
Veteran Burials for Washington Co., PA - Dutch Lutheran Cemetery - Fallowfield Twp

Dutch Lutheran Cemetery

Back to main index page

Back to home page