Back to home page

Back to main index page

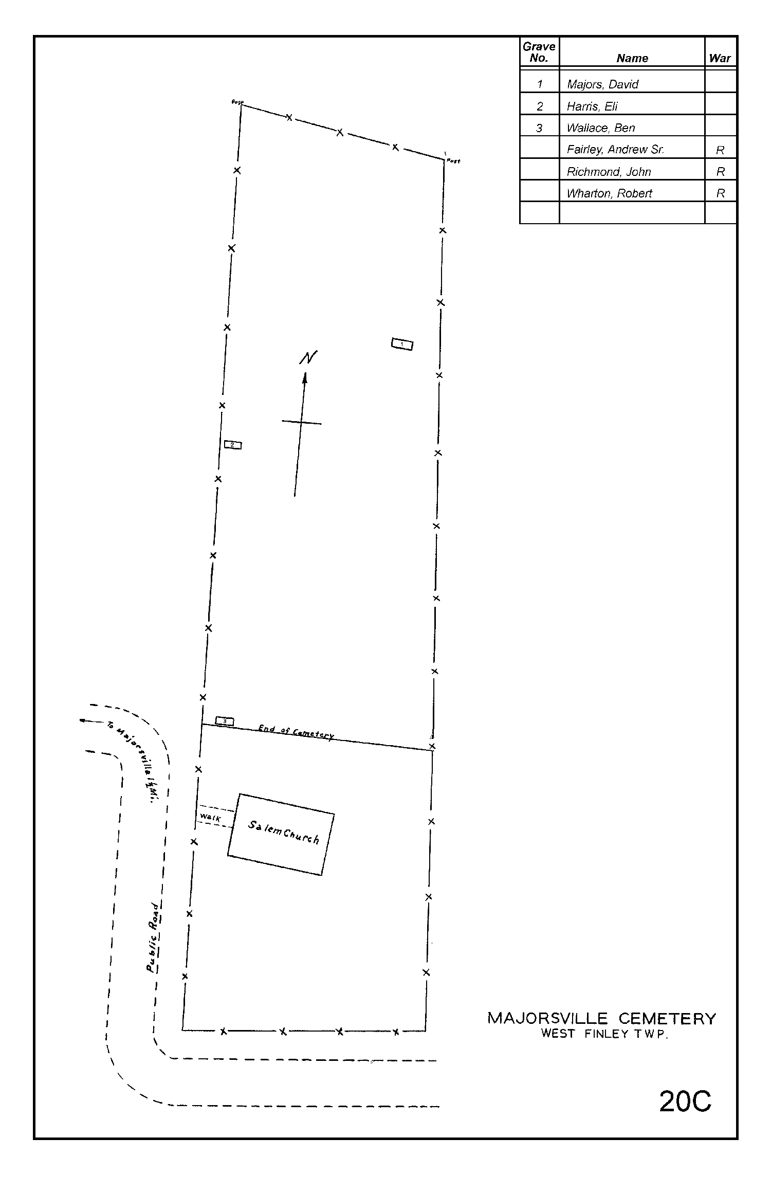
Veteran Burials for Washington Co., PA - Majorsville Cemetery - West Finley Twp

Majorsville Cemetery

Back to main index page

Back to home page